Velocimetría de Imagen de Partículas Tomográficas

La Velocimetría de Imagen de Partículas Tomográfica (Tomo-PIV) con el sistema LaVision Flow Master proporciona mediciones volumétricas de las velocidades de las partículas o de las gotitas. Se utiliza un haz de láser grueso para iluminar las partículas dentro de una pulverización. Con tres cámaras que capturan la luz dispersada desde múltiples puntos de vista, los componentes de la velocidad y la dirección pueden determinarse en tres dimensiones.

Características Tomo-PIV Overview

El haz grueso de láser se alinea típicamente de manera que el componente primario de la velocidad está en línea con el eje de la boquilla. Típicamente, se determinan muchos campos de velocidad instantáneos y se utilizan para generar un campo de velocidad tridimensional promedio en conjunto. La captura simultánea de las velocidades tridimensionales a lo largo de un plano de pulverización es una capacidad única de este método de medición no intrusivo, y puede ser muy útil en aplicaciones en las que la pulverización interactúa con un objetivo o una corriente de gas en movimiento y para fines de validación del CFD

Beneficios de Tomo-PIV

El instrumento tomo-PIV proporciona un resultado de campo de alta resolución espacial y velocidad de pulverización instantánea. Los resultados instantáneos pueden ser promediados en conjunto en representaciones medias. El sistema puede ser activado para resolver los efectos transitorios del desarrollo de la pulverización a lo largo de múltiples ciclos. El carácter no intrusivo de la iluminación del haz de láser de la sección transversal de la pulverización permite realizar mediciones volumétricas de la velocidad de la pulverización de alta calidad, lo que permite una observación detallada de las características tridimensionales de la pulverización.

El sistema tomo-PIV no proporciona información sobre el tamaño de la gota; por lo tanto, a menudo se utiliza junto con uno de los muchos instrumentos de medición del tamaño de la gota para proporcionar una caracterización adicional.

Método Tomo-PIV

El sistema tomo-PIV utiliza un láser pulsado de corta duración, que pasa a través de dos lentes divergentes, para iluminar una sección transversal gruesa de la pulverización. El corto pulso del láser congela eficazmente las gotas en su lugar mientras son visualizadas. Las gotitas dispersan la luz del láser, y tres cámaras, que se activan con el pulso del láser, captan las gotitas dentro del plano del láser desde diferentes perspectivas. La potencia de salida del láser, la óptica de la cámara y la sustracción del ruido de fondo de las imágenes se utilizan para eliminar las gotas desenfocadas y otros objetos de la vista.

A medida que las gotas se desplazan dentro del grueso haz del láser, se adquieren imágenes de doble cuadro con un retraso de tiempo muy pequeño y conocido. El paquete de software DaVis de LaVision se utiliza entonces para ejecutar una serie de algoritmos de correlación cruzada para determinar el desplazamiento de pequeños grupos de partículas en tres dimensiones. La combinación de una distancia/dirección de desplazamiento conocida y una demora de tiempo conocida entre los pares de imágenes permite un cálculo directo de la velocidad local. Este procedimiento se realiza en todo el dominio de la imagen, y se determina una representación volumétrica del campo de velocidad de la gota instantánea. Generalmente se adquieren muchos campos de velocidad instantáneos y se utilizan para generar un resultado de campo de velocidad promedio en conjunto. Típicamente, el agua se utiliza como medio de pulverización durante las mediciones de PIV.

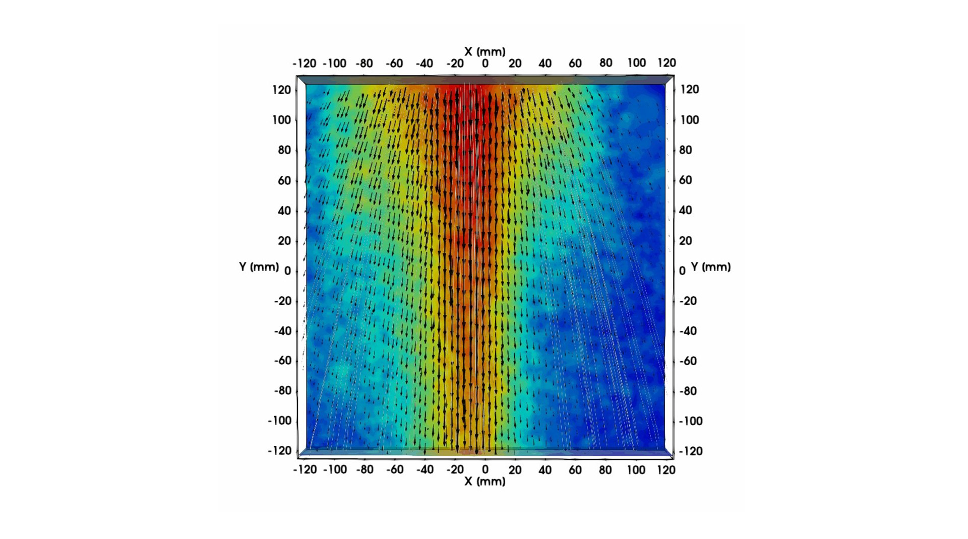
Datos de ejemplo

Campo de velocidad volumétrica para una boquilla de pulverización plana
tomo piv example data
¿Quiere saber más sobre las características de sus operaciones de pulverización?  CONTÁCTENOS